Cảnh báo: Sinlaku là ‘cơn bão mạnh nhất hành tinh’, khả năng gây th:ảm h:ọa trong 48h tới, lập tức đóng cửa trường học
Trước tình hình cơn bão Sinlaku đang mạnh lên, Mỹ đã tiến hành đóng cửa các trường học và hủy hàng loạt chuyến bay.
Theo báo Đời sống pháp luật có bài Cảnh báo: Báo Mỹ gọi Sinlaku là “cơn bão mạnh nhất hành tinh”, khả năng gây thảm họa trong 48h tới, lập tức đóng cửa trường học. Nội dung như sau:
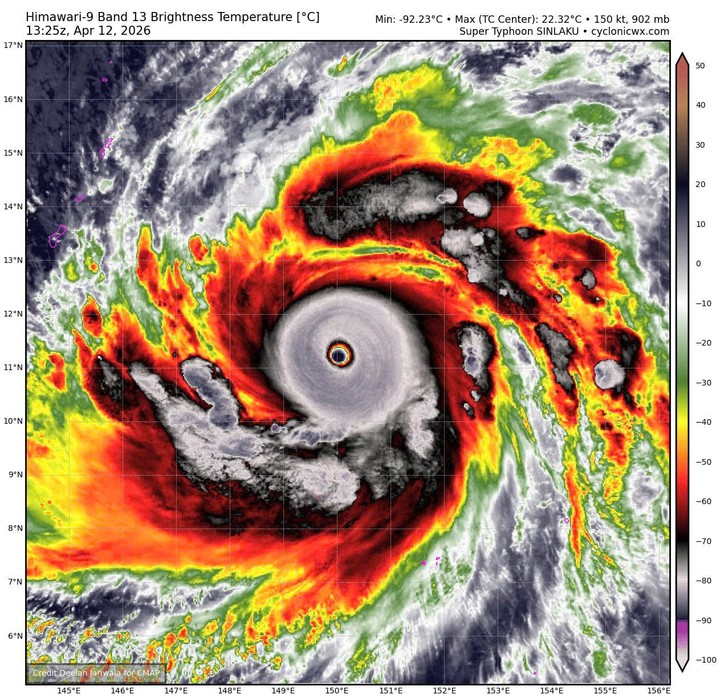
Siêu bão Sinlaku đã mạnh lên thành cơn bão mạnh nhất hành tinh trong năm nay, với sức gió duy trì lên tới 180 dặm/giờ và gió giật lên tới 220 dặm/giờ khi nó di chuyển về phía chuỗi đảo do Mỹ kiểm soát ở Tây Thái Bình Dương. Đối với khoảng 50.000 người dân sinh sống trên đảo Rota, Tinian và Saipan, 48 giờ tới có thể là thảm họa, tờ San Francisco Chronicle đưa tin.
Cơ quan khí tượng Nhật Bản (JMA) cho biết lúc 6h sáng 13/4, siêu bão Sinlaku đang ở cách quần đảo Bắc Mariana hơn 500km về phía đông nam, cách Biển Đông hơn 3.000km về phía đông, sức gió mạnh nhất vùng gần tâm bão mạnh cấp 17 (212km/h), giật trên cấp 17. Như vậy, so với tối qua, cường độ siêu bão Sinlaku mạnh thêm 10kts (khoảng 18km/h).

Siêu bão Sinlaku đã mạnh lên với sức gió 175 dặm/giờ, di chuyển theo hướng bắc-tây bắc với tốc độ 10 dặm/giờ và đang tiến gần đến cường độ cực đại – Ảnh: zoom.earth
JMA dự báo trong 24 giờ tới, siêu bão Sinlaku di chuyển theo hướng tây bắc với tốc độ khoảng 15km/h và cường độ vẫn duy trì mạnh cấp 17, giật trên cấp 17.
Cũng đưa tin về bão Sinlaku vào lúc 9h sáng nay 13/4, Đài phát thanh RNZ của Mỹ gọi cơn bão này là “quái vật” đang tiến về phía Quần đảo Bắc Mariana (CNMI), khiến chính phủ liên bang phải ban bố tình trạng khẩn cấp và hủy bỏ nhiều chuyến bay khi các quan chức cảnh báo về gió mạnh và lũ lụt gây thiệt hại.
Trung tâm Cảnh báo Bão Liên hợp (JTWC) cho biết trong bản tin lúc 1 giờ sáng rằng, siêu bão Sinlaku đã mạnh lên với sức gió 175 dặm/giờ, di chuyển theo hướng bắc-tây bắc với tốc độ 10 dặm/giờ và đang tiến gần đến cường độ cực đại.
Landon Aydlett, nhà khí tượng học phụ trách điều phối cảnh báo tại Cơ quan Dự báo Thời tiết Quốc gia Guam, cho biết đường đi của cơn bão đã dịch chuyển nhẹ về phía bắc trong ngày qua, với dự báo mới nhất cho thấy khả năng đi qua Saipan thay vì chỉ phía nam Tinian.
Ông nói rằng “kịch bản lý tưởng” là hệ thống di chuyển xa hơn về phía bắc, giữ cho gió mạnh nhất ở ngoài khơi, nhưng cảnh báo rằng ngay cả khi đi qua cách tâm bão 50 dặm cũng vẫn sẽ mang đến những tàn phá tồi tệ. Gió mạnh cấp bão trải rộng khoảng 60 dặm từ tâm bão, với gió mạnh cấp bão nhiệt đới có thể đạt tới 275 dặm.
Mối đe dọa leo thang đã khiến Tổng thống Donald Trump phê duyệt tuyên bố tình trạng khẩn cấp cho CNMI theo Đạo luật Stafford, mở khóa viện trợ liên bang thông qua Cơ quan Quản lý Khẩn cấp Liên bang (FEMA).
Đại diện của CNMI tại Quốc hội Hoa Kỳ, Kimberlyn King-Hinds, cho biết sự hỗ trợ này sẽ cung cấp các nguồn lực “trước, trong và sau cơn bão”, đồng thời kêu gọi người dân giữ bình tĩnh, cập nhật thông tin và chuẩn bị sẵn sàng.
Trước đó, Thống đốc David Apatang đã yêu cầu ban bố tình trạng khẩn cấp, viện dẫn “mối đe dọa cận kề và ngày càng leo thang đối với tính mạng, sức khỏe và an toàn cộng đồng, cũng như cơ sở hạ tầng thiết yếu”.

Dự báo đường đi của siêu bão Sinlaku cho thấy nó sẽ đổ bộ trực tiếp vào quần đảo Bắc Mariana, Rota và Tinan vào sáng thứ Ba (14/4)
Giới chức trách đã nâng mức cảnh báo bão cấp II cho Saipan, Tinian và Rota, có nghĩa là gió mạnh gây thiệt hại dự kiến sẽ xảy ra trong vòng 24 giờ tới, và gió mạnh cấp bão dự báo vào sáng sớm thứ Ba.
Hoạt động hàng không cũng bị gián đoạn nghiêm trọng. Cơ quan quản lý cảng Khối Thịnh vượng chung xác nhận rằng United Airlines, Philippine Airlines, Hong Kong Airlines và T’Way Air đã hủy các chuyến bay đến Saipan, sau khi các hãng hàng không nội địa trước đó đã tạm ngừng các chuyến bay này.
Hãng hàng không United Airlines cảnh báo về những gián đoạn trên diện rộng, cho biết tất cả các chuyến bay đến Saipan có thể bị hủy cho đến giữa tuần.
Các trường học trên khắp CNMI đã đóng cửa, bao gồm cả các trường công lập và trường Cao đẳng Bắc Mariana, trong khi các quan chức cảnh báo về lượng mưa lên tới 20 inch và lũ lụt ven biển nghiêm trọng từ thứ Hai đến thứ Tư.
Ông Apatang cũng ban hành chỉ thị yêu cầu tất cả các văn phòng chính phủ CNMI đóng cửa bắt đầu từ thứ Hai cho đến khi có thông báo an toàn sau cơn bão Sinlaku. Hầu hết các công ty tư nhân cũng đã làm theo.
Nhiều cảnh báo vẫn còn hiệu lực, bao gồm cảnh báo sóng lớn, cảnh báo lũ lụt và cảnh báo lũ ven biển, khi bão Sinlaku tiến gần đến các hòn đảo.
Tối 12/4, Trung tâm Dự báo khí tượng thủy văn quốc gia quốc gia cho biết bão Sinlaku đã mạnh lên siêu bão với sức gió đạt cấp 16, giật trên cấp 17.
Theo cơ quan khí tượng, đây là cơn bão đầu tiên trong năm 2026 đạt cường độ này, đồng thời là lần đầu xuất hiện trong tháng 4 kể từ bão Surigae (2021) và chỉ là lần thứ 3 kể từ năm 1977.
Hiện tại, Sinlaku cũng là cơn bão mạnh nhất thế giới trong năm 2026.
Theo dự báo, siêu bão Sinlaku có thể sẽ đổi hướng di chuyển lên phía Bắc, sau đó nhiều khả năng sẽ tiếp tục đổi hướng một lần nữa thành hướng Bắc Đông Bắc vào khoảng ngày 16-17/4, khi di chuyển tới vùng biển phía Đông của Nhật Bản và cường độ sẽ giảm dần.
Cơ quan khí tượng cho biết hiện tại, các dự báo bão đều cho thấy bão sẽ không có khả năng đi vào khu vực Biển Đông.
Theo VTC News có bài Siêu bão Sinlaku đổi hướng, liệu có vào Biển Đông? Nội dung như sau:
Sinlaku đã mạnh cấp siêu bão với cường độ cấp 16, giật trên cấp 17 vào tối qua (12/4). Đây là cơn bão thứ 4 hoạt động trên khu vực Tây Bắc Thái Bình Dương và là siêu bão đầu tiên hoạt động trên khu vực này trong mùa bão lũ năm nay. Sinlaku cũng là một trong số rất ít cơn siêu bão xuất hiện ngay trong tháng 4.
Sau khi mạnh lên thành siêu bão, siêu bão Sinlaku sẽ đổi hướng di chuyển lên phía Bắc, sau đó nhiều khả năng tiếp tục đổi hướng một lần nữa thành hướng Bắc Đông Bắc vào khoảng ngày 16-17/4 và di chuyển tới vùng biển phía Đông của Nhật Bản, cường độ sẽ giảm cấp dần.

Sinlaku là một trong số rất ít cơn siêu bão xuất hiện ngay trong tháng 4. (Nguồn: NCHMF)
Hiện tại, các dự báo bão đều cho thấy bão không có khả năng đi vào khu vực Biển Đông. Trung tâm Dự báo khí tượng thủy văn vẫn đang theo dõi sát diễn biến của siêu bão đầu mùa này.
Trung tâm Dự báo khí tượng thuỷ văn quốc gia nhận định, đây là cơn bão đầu tiên trong năm 2026 đạt cường độ này, đồng thời là lần đầu xuất hiện trong tháng 4 kể từ bão Surigae (2021) và chỉ là lần thứ ba kể từ năm 1977.
Sinlaku cũng là cơn bão mạnh nhất thế giới trong năm 2026 (tính đến thời điểm hiện tại), vượt qua bão Maila ở khu vực Úc.
Theo dự báo của cơ quan khí tượng, từ tháng 4-6, bão hoặc áp thấp nhiệt đới hoạt động trên khu vực Biển Đông và ảnh hưởng trực tiếp đến đất liền tương đương trung bình nhiều năm (trung bình nhiều năm trên Biển Đông 1,8 cơn, đổ bộ vào đất liền 0,3 cơn).
Trong 3 tháng tiếp theo (tháng 7-9), hoạt động của bão hoặc áp thấp nhiệt đới trên Biển Đông và đổ bộ vào đất liền nước ta cũng ở mức tương đương trung bình nhiều năm với 6,5 cơn trên Biển Đông, đổ bộ vào đất liền 2,9 cơn.
Các đợt mưa vừa, mưa to có khả năng xuất hiện ở Bắc Bộ, Bắc Trung Bộ, cao nguyên Trung Bộ và Nam Bộ trong thời kỳ dự báo, nguy cơ gia tăng các hiện tượng thời tiết cực đoan như dông, lốc, sét, mưa đá và gió giật mạnh trên cả nước.